(Permission is granted to redistribute this material as long as the Kollel
header and the subscription info at the end are included.)

_________________________________________________________________
GRAPHICS FOR LEARNING THE DAILY DAF

brought to you by Kollel Iyun Hadaf of Har Nof
Rosh Kollel: Rabbi Mordecai Kornfeld
Email - daf@shemayisrael.co.il
_________________________________________________________________

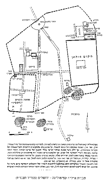
Lecture 8 Image 6

Jerusalem Tetrepillion


Back to Marei Mekomos Page


For questions or sponsorship information, write to daf@shemayisrael.co.il